研究背景
由于对可持续健康食品的需求不断增长,以及食品和饮料新技术的快速发展,植物性牛奶替代品在美国和欧洲越来越受欢迎。在欧洲,乳制品替代品市场在过去几年中迅速扩张,其中植物性牛奶替代品的增长最为显著。植物性牛奶替代品通常被宣传为比牛奶更有营养、更环保,并且被认为比传统牛奶更符合道德规范。尽管植物性牛奶替代品的感官特性旨在与牛奶相似,但植物性牛奶替代品的感官质量仍然是消费的障碍。
2019年5月,丹麦研究团队进行了一项在线调查。共有341名年龄在16-35岁之间的参与者 (消费者171名,非消费者170名) 完成了调查。深度剖析丹麦年轻成年群体对植物性牛奶替代品的多元看法。并在Foods 期刊发表了题为“Perceptions toward Plant-Based Milk Alternatives among Young Adult Consumers and Non-Consumers in Denmark: An Exploratory Study”的论文。
今天,让我们一起倾听丹麦年轻世代在植物奶热潮下的消费者与非消费者心声。
研究亮点
1.研究的概念框架基于使用细分
考虑了行为变量来构建细分市场。第一步是针对植物性牛奶替代品消费者和非消费者,因为这可能导致针对每个细分市场使用差异化的市场策略 (即保留现有消费者或制定策略以根据他们的看法或动机吸引不同的用户群体)。
2.改变营销策略
收集这些信息对于瞄准新消费者和留住现有消费者、改进营销策略以及指导丹麦零售业植物性牛奶替代品的产品开发至关重要。
3.预测消费市场
研究结果不仅对丹麦的植物性牛奶替代品生产商和零售商有帮助,而且对其他发达国家的生产商也有帮助,例如爱尔兰或英国。
研究成果
1.态度差异
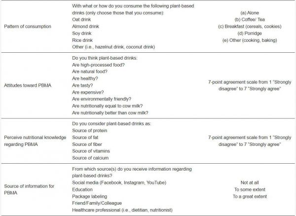
与消费者相比,非消费者略微更同意植物性牛奶替代品是一种高度加工的产品;与非消费者相比,更多的消费者同意植物性牛奶替代品是一种天然产品,有益于健康并且味道鲜美;消费者不同意植物性牛奶替代品是人工制品,而非消费者对此说法更为中立;消费者和非消费者都认为植物性牛奶替代品价格昂贵,并且对植物性牛奶替代品环保持中立态度;消费者和非消费者对于植物性牛奶替代品作为蛋白质、脂肪、纤维、维生素和钙的来源也持中立态度。
2.信息来源
社交媒体平台 (Instagram、Facebook、YouTube) 在某种程度上是消费者的信息来源,但不是非消费者的信息来源。包装标签和更密切的联系 (朋友/家人) 被认为是消费者和非消费者的重要信息来源。医疗保健专业人士 (营养师、医生) 和教育 (学校、大学或其他中心) 被认为是寻求植物性牛奶替代品信息的最不重要的来源。
研究总结
口味是丹麦年轻人消费植物性牛奶替代品的主要预测因素,其次是健康和天然性因素,而将植物性牛奶替代品视为人造和高度加工则是负面预测因素。消费者和非消费者都使用包装标签来获取有关植物性牛奶替代品的信息,社交媒体主要用作植物性牛奶替代品消费者的信息来源。
调查问卷表


原文信息
Martínez-Padilla, E.; Faber, I.; Petersen, I.L.; Vargas-Bello-Pérez, E. Perceptions toward Plant-Based Milk Alternatives among Young Adult Consumers and Non-Consumers in Denmark: An Exploratory Study. Foods 2023, 12, 385. https://doi.org/10.3390/foods12020385
Foods 期刊介绍
期刊主题涵盖食品研究相关各方面。目前已被 Scopus、SCIE (Web of Science)、PubMed 等数据库收录。
2023 Impact Factor: 4.72023 CiteScore: 7.4返回搜狐,查看更多
